|
Кількість
|
Вартість
|
||
|
|
|||
|
|
|||
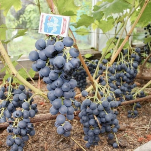
Виноград "Мускат Блау" — це універсальний технічний сорт із чудовими смаковими якостями, який стане відмінним вибором для виноградарів та виноробів. Він поєднує в собі раннє дозрівання, витривалість до морозів і хвороб, а також неперевершений мускатний аромат. Завдяки цим характеристикам "Мускат Блау" широко використовується як для споживання у свіжому вигляді, так і для виготовлення ароматних вин.
Основні характеристики сорту:
-
Термін дозрівання: ранній, до 120 діб. У регіонах із помірним кліматом дозріває до середини вересня.
-
Кущі: сильнорослі, з добре розвиненою лозою.
-
Грона: великі, пухкі, середньою масою 250-500 г.
-
Ягоди: округлі, чорного кольору, вагою близько 5 г. Відзначаються високим вмістом цукру (до 21 Brix) та яскраво вираженим мускатним ароматом.
-
Морозостійкість: витримує зниження температури до -28°C, що дозволяє вирощувати його без укриття в теплих регіонах.
-
Стійкість до хвороб: високий імунітет до мілдью та оїдіуму (2 бали за 5-бальною шкалою).
-
Врожайність: середня, одна лозина може дати 2-4 грона.
Переваги винограду "Мускат Блау":
-
Висока якість ягід Ягоди мають насичений мускатний аромат і приємний смак, що робить їх чудовими як для споживання свіжими, так і для переробки. Навіть у дощові сезони вони набирають оптимальну цукристість, зберігаючи насичений смак.
-
Стійкість до несприятливих умов "Мускат Блау" демонструє високу стійкість до грибкових захворювань, що зменшує необхідність у частих обробках. Морозостійкість дозволяє вирощувати його в регіонах із суворими зимами, а в холодних зонах його рекомендують вкривати.
-
Легкість у догляді Для отримання якісного врожаю важливо проводити нормування грон. Оптимальна кількість — не більше 2-х грон на пагін. Це дозволяє уникнути перевантаження куща і забезпечує великі, солодкі ягоди. Процес проріджування простий: достатньо акуратно видалити зайву зав'язь для покращення якості плодів.
-
Ідеальний для виноробства Завдяки високій цукристості та мускатному аромату "Мускат Блау" є одним із найкращих технічних сортів для виробництва вина. Напій із цього винограду має насичений аромат мускату та приємний гармонійний смак, що робить його популярним серед домашніх і професійних виноробів.
-
Тривале зберігання на кущі Після дозрівання грона можуть залишатися на кущі до жовтня, набуваючи ще більш насиченого смаку. Однак важливо враховувати, що стиглі ягоди можуть привертати увагу птахів та ос.
Висновок
Виноград "Мускат Блау" — це сорт, який поєднує чудові смакові якості, високу стійкість до хвороб і морозів, а також простоту у догляді. Його універсальність дозволяє використовувати ягоди як для свіжого споживання, так і для виробництва ароматних вин. Виноградники, засаджені цим сортом, стають справжньою окрасою саду, а його плоди — смачним і корисним доповненням до раціону.


.jpg)
Додайте перший відгук